family CERAMBYCIDAE Latreille, 1802
subfamily LAMIINAE Latreille, 1825
tribe Phytoeciini Mulsant, 1839
genus Phytoecia Dejean, 1835
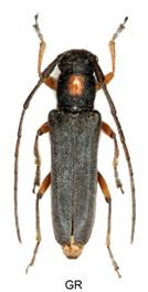
Phytoecia scutellata (Fabricius, 1792)
subgenus Cardoria Mulsant, 1863

Velikost 7-14 mm.
Bionomie. Lesostepi a stepi. Poprvé byla bionomie publikována maďarským entomologem Kovácsem (1989), který sledoval tento druh v přírodě i v teráriu. Samička klade po jednom vajíčku mezi list a stonek živné rostliny. Larvy žerou v kořenech, následkem čehož rostliny odumírají. Kuklí se na podzim a přezimují jako imaga. - Imaga se vyskytují od konce III. do VI., maximum koncem IV. do poloviny V. Dříve byla nalézána většinou náhodně na zemi, v letu nebo smýkáním. Po uveřejnění bionomie je nalézán na živné rostlině a na zemi v jejím blízkém okolí.
Živné rostliny - Falcaria vulgaris Bernh. (Kovács, 1989)
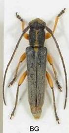
Phytoecia affinis (Harrer, 1784)
subgenus Musaria J. Thomson, 1864










Velikost 9-16 mm.
Bionomie. Lesní louky, okraje porostů, málo obhospodařované zahrady apod. Vývoj larev se udává ve stoncích a podzemních částech miříkovitých (okoličnatých) rostlin, obvykle na lokalitách s větší vlhkostí půdy, nepřímo osluněných. Larvy vyžírají stonky a kuklí se v dolní nebo podzemní části. Přezimuje jako larva. Podle Demelta (1966) doba vývoje jeden rok. Podle Čerepanova (1985) trvá vývoj od larvy po imago jeden rok, to však zůstává přes další zimu v kukelní komůrce a prodělává diapauzu, takže vývoj je dvouletý, možná i tříletý. - Imaga se vyskytují od V. do VII., maximum koncem V. a počátkem VI. na stoncích a listech živných rostlin.
Živné rostliny - Chaerophyllum, Laserpitium, Libanotis, Peucedanum, Aegopodium, Pastinaca.
Variabilita. Krovky mohou být šedé až černé, štít je převážně červený, ale může být až celý černý.
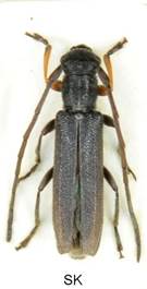
Phytoecia argus (Frölich, 1793)
subgenus Musaria J. Thomson, 1864



Velikost 7-21 mm.
Bionomie. Teplé lokality, lesostepi až stepi, neobhospodařované zemědělské půdy, neudržované zahrady. Způsob vývoje na Slovensku poprvé zjistil již ve třicátých letech K. Prokš. Samičky kladou vajíčka na dolní části stonků seselu, larvy prožírají chodbičky až do kořenové části, kde se i kuklí. V místě žíru dochází k mírnému zesílení stonku. Po odlomení uschlé nadzemní části však nedochází k úhynu larvy ani imaga. Podle některých sdělení přezimuje ve stadiu imaga, podle některých ve stadiu larvy. - Imaga se vyskytují od konce IV. do VI. (29.6.1986 Štúrovo, Kučera lgt.), maximum na Slovensku do poloviny V., na Moravě do počátku VI.
Živné rostliny - Seseli sp.
Variabilita. Barva krovek je žlutošedá nebo šedá, hlava a štít převážně červené až téměř černé.
Phytoecia rubropunctata (Goeze, 1777)
subgenus Musaria J. Thomson, 1864




Velikost 7-14 mm.
Druh jihozápadní Evropy. Bionomie je prakticky shodná s P. argus. Vývoj rovněž v seselu (Seseli).
Variabilita. Štít může být částečně červený až černý.
Phytoecia caerulea caerulea (Scopoli, 1772)
subgenus Phytoecia Dejean, 1835


Velikost 5-12 mm.
Bionomie. Podle Heyrovského (1955) a Demelta (1966) larvy žijí v brukvotvarých rostlinách (Brassicales). Larvy se vyvíjejí v dolních částech stonků a kořenech. Generace jednoletá. - Imaga se vyskytují v IV. - VII. (12.7.1962 Štúrovo, Poláček lgt., 27.7.1974 Chotín, Pádr lgt.), maximum v V.
Živné rostliny - Sinapis, Sisymbrium, Rapistrum aj.
Variabilita. Barva krovek, hlavy a štítu může být kovově jasně zelená až modrá.
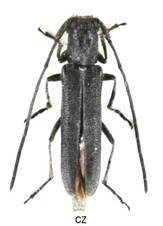
Phytoecia cylindrica (Linnaeus, 1758)
subgenus Phytoecia Dejean, 1835

Velikost 6-14 mm.
Bionomie. Především ruderální lokality, zahrady, okraje lesů aj. Vývojem tohoto druhu se zabývalo více zahraničních autorů, na př. Kemner (1916). Samička klade vajíčka do stonku rostliny, larvální chodby vedou středem stvolu, zvláště v bazální části až do hlubších kořenů. Kukla je uložena v oddělené komůrce ve stonku těsně u povrchu země. Převážně se udává, že v pozdním létě se larvy zakuklí a imaga se líhnou ještě na podzim, přezimují v kukelní komůrce, kterou opouštějí na jaře. Vývoj jednoletý. Podle Čerepanova (1985) zimuje ve stadiu larev i imag, což ukazuje na jedno až dvouletý cyklus. Z larev, které jsem nalezl ve Štúrově koncem IV., se vylíhla imaga do dvou týdnů, otázkou však je, zda by byla tentýž rok pohlavně dozrálá. - Imaga se vyskytují od IV. do VII., maximum v V. – VI., na živných rostlinách.
Živné rostliny - Astrantia major (Teppner, 1961); Antriscus silvestris, Daucus carota, (Kemner, 1922); Heracleum, Chaerophyllum, Bupleurum, Phlonus, Tithymalus (Euphorbia), Carduus, Laserpitium, Aegopodium atd..
Phytoecia icterica (Schaller, 1783)
subgenus Phytoecia Dejean, 1835






Velikost 5-12 mm.
Bionomie. Podle literatury je vývoj larev podobný jako u jiných druhů rodu Phytoecia. Larvy žijí v přízemních částech stonků a sestupují do kořenů, kde provádějí hlavní žír a přezimují. Podle Pauluse (1973) je žír larev podobný jako u larev rodu Agapanthia. Podél kořenového krčku larva udělá kruhovitý zářez, takže stonek se může odlomit. Protože larva otvor pečlivě uzavře, nedojde k jejímu ohrožení. Čerepanov (1985) uvádí vývoj dvouletý, protože po roce vývoje vylíhlá imaga vstupují do diapauzy, přezimují a pak teprve opouštějí kukelní komůrky. - Imaga se vyskytují od poloviny V. do počátku VII. na živných rostlinách.
Živné rostliny - Pastinaca (Paulus, 1973), dále Pimpinella, Heracleum, Daucus.
Phytoecia nigricornis (Fabricius, 1781)
subgenus Phytoecia Dejean, 1835







Velikost 6-13 mm.
Bionomie. Okraje lesů, lesostepi, ruderální lokality. Vývoj larev v dolních částech stonků a v kořenech. Podle Čerepanova (1985) před zimou se larvy zavrtávají do kořenů, kde přezimují. Kuklí se v horní části kořenů nebo přízemních částech stonků. Přezimují mladé larvy a imaga. Doba vývoje dvouletá. - Imaga se vyskytují v V. – VII., maximum koncem V. – VI. na hostitelských rostlinách.
Živné rostliny - Tanacetum, Solidago, Artemisia, Leucanthemum, Chrysanthemum.
Variabilita. P. nigricornis je velmi variabilní druh, mnohými renomovanými autory považovaný za dva druhy - P. nigricornis Fabricius a P. julii Mulsant. Dokonce uvádějí pozorování, že se vyskytují odlišně na Solidago a Tanacetum. Domnívám se, že je otázkou, zda nakonec zbarvení nemůže být ovlivněné i živnou rostlinou. Druhý a třetí zobrazený kus jsou z materiálů, které jsem sbíral v Korutanech, jejich původní zbarvení bylo ale jiné, nádherně žluto olivově zbarvené i s odstínem do zelena. V podstatě každý kus byl mírně jinak zbarvený. Částečně imaga ztratila barvu hned při usmrcení, částečně i časem ve sbírce.
Phytoecia pustulata pustulata (Schrank, 1776)
subgenus Phytoecia Dejean, 1835






Velikost 5-9 mm.
Bionomie. Louky, pastviny, ruderální plochy. Vývoj larev je uváděn ve spodních částech stonků a kořenech, kde se také kuklí. Na kořenech zjistil vývoj v X.1986 také Dunay. Podle Čerepanova (1985) larva sestupuje do dolních částí, vykousává střední část stonku a drP vyhazuje vyhlodanými otvory ven. Larvy přezimují, koncem léta se převážně v kořenové části zakuklí a další zimu přezimují imaga v kukelní komůrce. Doba vývoje je dvouletá. - Doba výskytu imag je IV. – VII., nejčastěji V., na Achilea a jiných rostinách.
Živné rostliny - Všeobecně se uvádí Achilea; Artemisia procera (Čerepanov, 1985); dále se uvádí Pyrethrum, Chrysanthemum, Tanacetum.
Phytoecia virgula (Charpentier, 1825)
subgenus Phytoecia Dejean, 1835







Velikost 5-12 mm.
Bionomie. Polostepní a stepní lokality, pastviny, ruderální plochy. Larvy se vyvíjejí ve stoncích, převážně v jejich dolních částech a kořenech. Podle Čerepanova se kuklí koncem následujícího léta a imaga se líhnou na podzim. Před kuklením larvy z vnitřní strany okousají stonek, který se v tomto místě odlomí. Otvor pečlivě uzavřou ucpávkou a přezimují v kukelních komůrkách. Vývoj generace je dvouletý. - Výskyt imag je v V. – VI., na stoncích a listech živných rostlin.
Živné rostliny - Salvia stepposa, Artemisia panciflora (Čerepanov, 1985); Tanacetum, Artemisia, Achillea, Hieracium, Daucus carota aj.
Phytoecia erythrocnema P. H. Lucas, 1849
subgenus Phytoecia Dejean, 1835

Phytoecia coerulescens (Scopoli, 1763)
subgenus Opsilia Mulsant, 1863







Bionomie. Okraje lesů, málo obhospodařované zahrady, ruderální plochy, lesostepi i stepi. Samičky kladou jednotlivá vajíčka do předem připravených vykousaných vrubů. Samičky (nezjistil jsem, zda i samci) okusují stonky, někdy celé plošky, zřejmě dělají zralostní žír. Larvy vyžírají stonky, převážně ve středové části. Podle Čerepanova (1985) larvy vyžírají otvory, kterými vyhazují část vykousané drtě. Z kořenů se mohou vykousat ven a přelézt do jiných rostlin. Před druhým zimování okroužkují larvy stonek z vnitřní strany, ten se pak odlomí a vzniklý otvor larvy ucpou. Přezimují v rostlinách nejprve v larválním stadiu, podruhé jako imaga. Vývoj dvouletý, v některých případech možná i jednoletý.. - Venku se imaga vyskytují od V. do VII., nejčastěji v V.– VI. na živných rostlinách.
Živné rostliny - Echium, Anchusa, Cynoglossum, Lithospermum, Rochelia, Lappula, Salvia aj.
Variabilita. Tento druh je barevně velmi variabilní. Bohužel, častá krásná živá barva se obvykle mění při smrcení a pak časem také ve sbírce. Poslední kus má zvláštní barvu, kterou jsem viděl jen u tohoto imaga. Mé ženě se tento brouk velmi líbil a vždy říkala „modrá kytička, modrý brouk“.
Phytoecia uncinata (W. Redtenbacher, 1842)
subgenus Opsilia Mulsant, 1863

Velikost 5-9 mm.
Bionomie. Teplé stepní a lesostepní lokality, ruderální půdy. Podle různé literatury vývoj larev probíhá ve stoncích rostlin. - Imaga se vyskytují od posledních dnů IV. do počátku VII., maximum od druhé poloviny V. do druhé dekády VI. (14.7.1995 Horní Brečkov, Škorpík lgt.; 20.7.1956 Trenčín, Urbášek lgt.; 20.8.1978 LVÚ Zvolen). Především na stoncích a v paždí listů Cerinthe.
Živné rostliny - Pravděpodobně Cerinthe, Lithospermum.
Phytoecia molybdaena (Dalman, 1817)
subgenus Opsilia Mulsant, 1863

Velikost 4,5-9 mm.
Bionomie. Tento druh jsem nikdy nesbíral. Podle Heyrovského (1955) vývoj larev probíhá ve stoncích různých bylin, vyžírá střed stonků do kořene, kde si udělá kukelní komůrku. - Imaga se údajně vyskytují v V. – VII. na živných rostlinách.
Živné rostliny - Udává se Cerinthe, Cynoglossum, Chrysanthemum, Papaver rhoeas, Lithospermum.
Phytoecia hirsutula (Frölich, 1793)
subgenus Pilemia Fairmaire, 1864

Velikost 7-14 mm.
Bionomie. O bližší bionomii tohoto druhu je velmi málo známo. Imaga se vyskytují na Phlomis tuberosa (Labiatae), podle Samy (1988) na Borraginacee. - Imaga se vyskytují od V. do poloviny VI. (2.VII.1964 Poláček).
Živné rostliny - Phlomis tuberosa L. (Heyrovský, 1955).
Phytoecia tigrina (Mulsant, 1851)
subgenus Pilemia Fairmaire, 1864

Velikost 9-13 mm.
Je známa z Maďarska. Podle údajů žije na pilátu (Cynoglottis barrelieri). Imaga se vyskytují hlavně v V.
Phytoecia rubropunctata (Goeze, 1777) FR - Seseli
